
“Una experiencia abrumadora”: La película de ‘Chainsaw Man’ supera por muy poco a ‘Demon Slayer: Kimetsu no Yaiba – La Fortaleza Infinita’
octubre 27, 2025
Las novedades positivas que recibieron los Lakers sobre la lesión de Luka Doncic | Sporting News Argentina
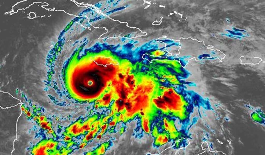
octubre 28, 2025El lunes el huracán Melissa se intensificó hasta convertirse en una tormenta de categoría 5, el más poderoso de los huracanes, mientras continúa arrojando torrentes de lluvias “catastróficas” en todo el Caribe, dijo el Centro Nacional de Huracanes.
La tormenta ya ha sido atribuida a seis muertes en el norte del Caribe y se esperaba que azotara Jamaica el martes por la mañana. Sería el huracán más fuerte que azota la isla desde que se comenzaron a llevar registros en 1851.

Se pronostica que el sistema seguirá siendo de categoría 5 en la escala Saffir-Simpson, con vientos sostenidos de 160 mph y ráfagas cercanas a 200 mph justo antes de tocar tierra.
«Esperamos impactos de viento catastróficos con fallas estructurales totales cerca de donde se mueve la pared del ojo a lo largo de la isla, especialmente en áreas de terreno más alto», dijo el director del NHC, Michael Brennan. «Podemos ver caídas completas de árboles en las zonas montañosas y simplemente completar la destrucción total de algunas estructuras en esas regiones».
El viento se verá agravado por una asombrosa cantidad de lluvia. El sistema podría caer entre 15 y 30 pulgadas más para el miércoles y algunas áreas tanto en Jamaica como en el sur de La Española podrían alcanzar hasta 40 pulgadas.
La marejada ciclónica en Jamaica es una preocupación particular, ya que podría alcanzar entre 9 y 13 pies sobre el nivel del suelo cerca de donde el centro llega a la costa. La amenaza de aumento continuará a lo largo de la costa sureste de Cuba el martes o miércoles por la noche.
«No se aventuren a salir de su refugio seguro. Se esperan inundaciones repentinas catastróficas y potencialmente mortales y numerosos deslizamientos de tierra hasta el martes», dijo Brennan. «La amenaza del viento aumentará dramáticamente… con vientos catastróficos en la pared del ojo donde llega a la costa, causando potencialmente fallas estructurales totales en aquellas regiones a lo largo de la costa y también en áreas de terreno elevado que experimentan la pared del ojo».
Al menos tres personas han muerto en Haití hasta el lunes, así como una cuarta persona en República Dominicana, donde otra persona sigue desaparecida. Dos personas murieron en Jamaica durante el fin de semana mientras cortaban árboles antes de la tormenta, según la oficina de gestión de emergencias del país.
A partir del aviso del NHC de las 8 pm del lunes, Melissa tenía vientos máximos sostenidos de 175 mph y estaba ubicada a unas 155 millas al suroeste de Kingston, Jamaica y a 335 millas al suroeste de Guantánamo, Cuba, moviéndose hacia el noroeste a 2 mph.
Se pronostica que el sistema se desplazará hacia el norte y se dirigirá directamente hacia la costa sur de Jamaica, atravesando la nación insular el martes por la tarde y luego moviéndose hacia el noreste el miércoles y jueves.
Había una advertencia de huracán para Jamaica, las provincias cubanas de Granma, Santiago de Cuba, Guantánamo y Holguín, y el sureste y centro de las Bahamas. Había una alerta de huracán para las Islas Turcas y Caicos, mientras que una advertencia de tormenta tropical estaba vigente para Haití, la provincia cubana de Las Tunas y las Islas Turcas y Caicos.
Los vientos con fuerza de huracán se extendieron hasta 30 millas y los vientos con fuerza de tormenta tropical se extendieron hasta 195 millas.
El ojo del monstruo en el centro del huracán Melissa, que aún se fortalece. pic.twitter.com/rOyaApeLPc
– CIRA (@CIRA_CSU) 27 de octubre de 2025
«Es probable que se produzcan algunas fluctuaciones en la intensidad antes de que Melissa toque tierra en Jamaica», dijo Jack Beven, especialista senior en huracanes del NHC. «Sin embargo, se espera que Melissa llegue a Jamaica y el sureste de Cuba como un huracán importante extremadamente poderoso, y seguirá teniendo fuerza de huracán cuando atraviese el sureste de las Bahamas».
Se esperaba que Melissa siguiera arrojando fuertes lluvias sobre partes de Haití incluso mientras avanza hacia el noreste en los próximos días.
También se pronostica que Cuba recibirá entre 10 y 15 pulgadas de lluvia, y algunas áreas recibirán hasta 20 pulgadas hasta el miércoles, afirmó el NHC.
Se esperan otras de 4 a 8 pulgadas para las Bahamas del martes al miércoles y de 1 a 4 pulgadas en las Islas Turcas y Caicos.
De un miembro de la tripulación en la misión Teal 74 de ayer al huracán #Melissa, ahora de categoría 5. Tan claro como lo verá en la cuenca del Atlántico. pic.twitter.com/5tktvvrIR1
– Jeremy DeHart (@JeremyDeHartWX) 27 de octubre de 2025
Se ordenaron evacuaciones obligatorias en comunidades propensas a inundaciones en Jamaica, y autobuses transportaron a las personas a refugios seguros.
Pero algunos insistieron en quedarse.
“Escucho lo que dicen, pero no me iré”, dijo Noel Francis, un pescador de 64 años que vive en la playa de la ciudad sureña de Old Harbor Bay, donde nació y creció. «Puedo manejarme solo».
Su vecino, Bruce Dawkins, dijo que tampoco tenía planes de salir de su casa.
«No voy a ir a ninguna parte», dijo Dawkins, vestido con un impermeable y sosteniendo una cerveza en la mano. El pescador dijo que ya había asegurado su embarcación y que planeaba capear la tormenta con su amigo.
-
Un hombre camina por una calle inundada antes de la llegada prevista del huracán Melissa a Old Harbour, Jamaica, el lunes 27 de octubre de 2025. (Foto AP/Matias Delacroix)
1 de 12
Un hombre camina por una calle inundada antes de la llegada prevista del huracán Melissa a Old Harbour, Jamaica, el lunes 27 de octubre de 2025. (Foto AP/Matias Delacroix)
Expandir
Varias ciudades a lo largo de la costa sur de Jamaica ya informaron de cortes de energía debido a que los vientos aumentaron durante la noche.
«Mi única preocupación son las inundaciones, porque vivimos cerca del mar», dijo Hyacinth White, de 49 años, quien dijo que no tenía planes de evacuar a un refugio.
Las autoridades dijeron que se esperaba la mayor marejada ciclónica en la comunidad de Black River en el oeste de Jamaica, donde Sandra Walker era la única vendedora ambulante que trabajaba apenas unas horas antes del huracán.
“No tengo más remedio que estar aquí”, dijo mientras clasificaba patatas, plátanos verdes, tomates y cebolletas en su puesto.
Walker, madre soltera de dos hijos, todavía está luchando por recuperarse después de que el huracán Beryl destruyó su negocio y su casa el año pasado. Vive junto al océano, pero no planea ir a un refugio porque tuvo una experiencia “terrible” durante el huracán Iván, cuando el centro sólo ofrecía un puñado de latas de carne en conserva para compartir.
Los funcionarios del gobierno de Jamaica dijeron que les preocupaba que hubiera menos de 1.000 personas en los más de 880 refugios abiertos en toda la isla.
«Está muy, muy por debajo de lo que se requiere para un huracán de categoría 5», dijo Daryl Vaz, ministro de Transporte de Jamaica, quien instó a la gente «a ser inteligente… Si no lo es, desafortunadamente, pagará las consecuencias».
Los relámpagos destellan dentro de la poderosa pared del ojo del huracán Melissa.
Imágenes increíbles esta mañana de Melissa, una tormenta de categoría 5, al sur de Jamaica. pic.twitter.com/AeFva33fie
– CIRA (@CIRA_CSU) 27 de octubre de 2025
La tormenta ya ha provocado fuertes lluvias en República Dominicana, donde el lunes se ordenó a las escuelas y oficinas gubernamentales permanecer cerradas en cuatro de las nueve provincias que aún se encuentran bajo alerta roja.
Melissa dañó más de 750 viviendas en todo el país y desplazó a más de 3.760 personas. Las inundaciones también han cortado el acceso a al menos 48 comunidades, dijeron las autoridades.
En el vecino Haití, la tormenta destruyó cultivos en tres regiones, incluidas 15 hectáreas de maíz, en momentos en que al menos 5,7 millones de personas, más de la mitad de la población del país, están experimentando niveles críticos de hambre.
«Las inundaciones están obstruyendo el acceso a las tierras agrícolas y a los mercados, poniendo en peligro las cosechas y la temporada agrícola de invierno», dijo la Organización de las Naciones Unidas para la Agricultura y la Alimentación.
Melissa se convirtió la semana pasada en el decimotercer ciclón tropical de la temporada. El sistema se convirtió en huracán el sábado por la tarde y rápidamente creció en fuerza hasta convertirse en un huracán importante el sábado por la noche, y sus vientos se intensificaron a más de 50 mph en menos de 24 horas.
Mapa: ¿Dónde llegará el huracán Melissa? Aquí está lo último
La Administración Nacional Oceánica y Atmosférica de Estados Unidos había pronosticado una temporada superior a lo normal con entre 13 y 18 tormentas con nombre.
Ahora cinco se han convertido en huracanes y cuatro se han convertido en tormentas importantes. Sólo una, la tormenta tropical Chantal, tocó tierra en Estados Unidos este año.
La temporada de huracanes va del 1 de junio al 1 de noviembre. 30.
La Prensa Asociada contribuyó a este informe.




