
Uno de nuestros mejores directores en activo, Imanol Uribe, se atreve con el espionaje en su nueva película, ‘La sospecha de Sofía’
septiembre 29, 2025
¿Dónde encaja Winter Park en los distritos de la Comisión Redibujados del Condado de Orange?
septiembre 29, 2025La tormenta tropical Imelda se hizo más fuerte a medida que avanzaba a través de las Bahamas el lunes, pero se pronostica que sus efectos en Florida disminuirían, según el Centro Nacional de Huracanes.
A partir del aviso de las 8 AM de la NHC, el Imelda tenía vientos máximos sostenidos que habían crecido a 50 mph ubicados a unas 10 millas al sureste de la gran isla Abaco y 265 millas al este-sureste del Cabo Cañaveral que se movían hacia el norte a 9 mph con vientos máximos sostenidos de 45 mph.
Los vientos de fuerza de tormenta tropical se extienden a 175 millas de su centro.

«En la pista de pronóstico, se espera que el centro del sistema se mueva a través de las Bahamas del Noroeste hoy y luego gire hacia el este-noreste, alejándose del sureste de los Estados Unidos a la mitad de esta semana», dijo los pronosticadores. «Se pronostica un fortalecimiento gradual y Imelda podría convertirse en un huracán el martes».
Se retiró una advertencia de tormenta tropical para las Bahamas centrales, pero permaneció en su lugar para porciones de las Bahamas del Noroeste, incluidas Eleuthera, los Abacos, Grand Bahama Island y las Cayos circundantes. La NHC también advirtió que Bermudas debería monitorear el progreso de la tormenta.
Las bandas exteriores del sistema comenzaron a arrastrarse por la costa de Florida y las aguas del Atlántico en alta mar permanecen bajo una tormenta tropical advertencia desde Júpiter norte hasta Flagler Beach, salen 60 millas náuticas, según el Servicio Meteorológico Nacional en Melbourne.
«Se espera que Imelda permanezca lo suficientemente lejos como para limitar los impactos generales al área local», dijo el Servicio Meteorológico Nacional en Melbourne. «Sin embargo, veremos algunos impactos, principalmente en forma de vientos ventanos del norte y peligrosas condiciones de playa y marina».
Mientras que un aviso eólico para esa misma sección de la costa este de Florida está en su lugar con ráfagas de 40 mph posibles, el mayor efecto de Imelda será un gran surf.
Los pronosticadores advierten condiciones prolongadas, peligrosas en la playa y marina durante toda la semana con corrientes de resbate potencialmente mortales, altas olas con olas de 6 a 10 pies, así como una erosión de playa moderada.
Las olas peligrosas de esta tormenta y el huracán distante Humberto en el Atlántico han levantado malas condiciones todo el fin de semana.
Un visitante fuera del estado de 51 años se ahogó en el condado de Volusia el sábado cuando fue sacado al océano y no pudo regresar, según una actualización del sheriff del condado de Volusia, Mike Chitwood.
9/29 5am Mensajes clave EDT para la tormenta tropical #imelda: Imelda continuará afectando el noroeste #bahamas hoy. Se espera que Imelda se convierta en un huracán el martes y podría amenazar #Bermuda después de que #Humberto pase a su norte.
Más detalles: https://t.co/tw4kegdbfb pic.twitter.com/7eba5gclq9
– Centro Nacional de Huracanes (@NHC_ATLANTIC) 29 de septiembre de 2025
El NHC dijo que 1-2 pies de aumento podrían correr desde la línea del condado de Volusia/Flagler hacia el norte hasta el río South Santee, Carolina del Sur.
Se pronostica que el sistema caerá de 4 a 8 pulgadas de lluvia a través de las Bahamas del noroeste hasta el martes que podrían causar inundaciones urbanas y de destello.
Solo 1-2 pulgadas con algunas áreas que obtienen hasta 4 pulgadas ahora se pronostican para el noreste de Florida, Carolina del Sur y las secciones costeras del sureste de Carolina del Norte.

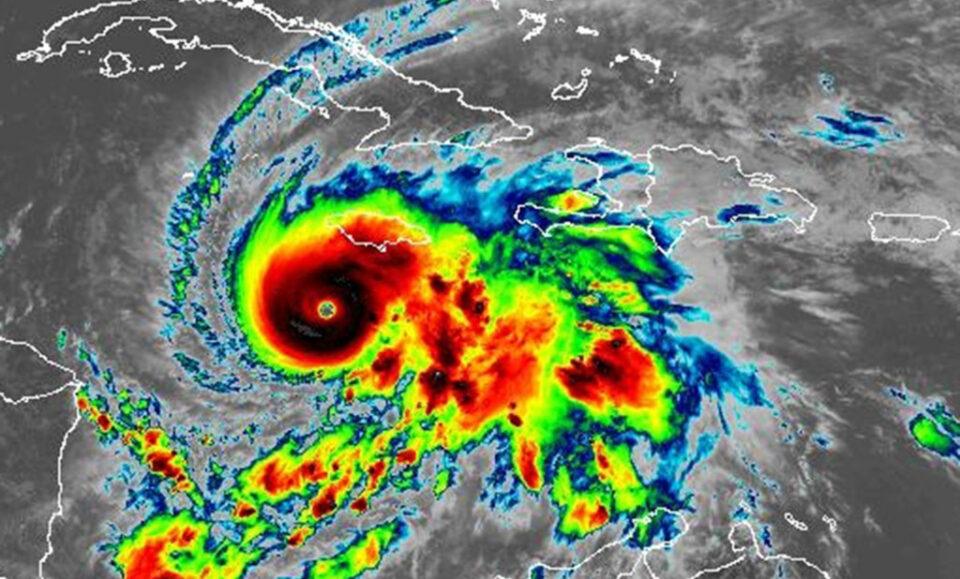
Más lejos en el Atlántico, el tercer huracán de la temporada había alcanzado el estado de Categoría 5 el sábado con vientos de 160 mph, la clasificación más alta en la escala de viento Saffir-Simpson.
A partir del asesoramiento de las 8 AM de NHC el lunes, Humberto había disminuido, pero luego se registró en intensidad con vientos máximos sostenidos de 145 mph, manteniéndolo en la categoría 4. Estaba ubicado a unas 365 millas al sur-suroeste de Bermudas que se mueven al noroeste a 14 mph.
Se estableció un reloj de tormenta tropical para Bermudas.
«Se espera un giro gradual hacia el norte al día siguiente más o menos. «En la pista de pronóstico, el centro de Humberto pasará bien al oeste, y luego al norte de Bermudas los martes y miércoles».
«Las fluctuaciones en la intensidad son posibles hoy», continuó. «El debilitamiento gradual se pronostica después de eso, pero se espera que Humberto siga siendo un gran huracán peligroso hasta el martes».
Los vientos de fuerza de huracanes se extienden 60 millas y la fuerza de tormenta tropical a 185 millas de su centro, pero el NHC advirtió que se esperaba que su campo de viento se fuera mucho más amplio en los próximos días.
Los otros dos huracanes esta temporada han sido Erin y Gabrielle, ambos alcanzando el estatus de huracán importante.
La Administración Nacional Oceánica y Atmosférica a principios de agosto actualizó su pronóstico de la temporada para exigir 13-18 tormentas nombradas, de las cuales cinco a nueve crecerían en huracanes. Dos a cinco de ellos se convertirían en huracanes importantes de la categoría 3 o superior.
La temporada de huracanes se extiende del 1 de junio al 30 de noviembre.
Publicado originalmente:




