
Fijan fecha de ejecución para un hombre de Florida que mató a la hermana y los padres de su esposa separada | CNN
agosto 18, 2025
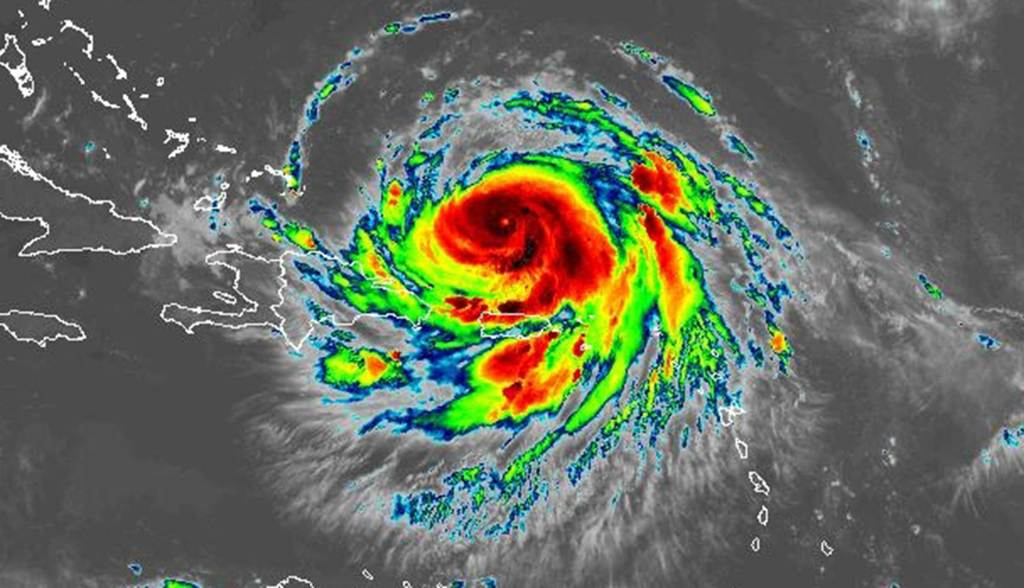
Categoría 3 Pronóstico de huracán Erin para intensificarse; Las posibilidades de que el nuevo sistema siga creciendo
agosto 18, 2025El huracán Erin el domingo cayó en intensidad durante la noche, pero se espera que recupere la fuerza, mientras que su camino cambió, lo que provocó nuevas advertencias y relojes para ser emitidos por las Bahamas, mientras que el Centro Nacional de Huracanes realizó un seguimiento de otros dos sistemas del Atlántico.
A partir del aviso de las 8 pm de la NHC, el centro de Erin estaba ubicado a unas 310 millas al noroeste de San Juan, Puerto Rico y 155 millas al este-noreste de la isla Gran Turk que se mueve hacia el oeste-noroeste a 13 mph con vientos máximos sostenidos de 125 mph, lo que lo convierte en un huracán de categoría 3.
«Esta moción general se espera hoy, seguida de un giro gradual al norte el lunes y martes», dijo el especialista senior de huracanes de la NHC, Richard Pasch. «En la pista de pronóstico, se espera que el núcleo de Erin pase al este de las Islas Turcas y Caicos y al sureste de Bahamas esta noche y el lunes».

El camino cambió más hacia el sur y el oeste que las proyecciones anteriores.
El Gobierno de las Bahamas emitió una advertencia de tormenta tropical para los turcos y caicos y una advertencia de tormenta tropical para las Bahamas del sudeste. El NHC notó que los intereses en las Islas Vírgenes, Puerto Rico y el centro de Bahamas deberían monitorear el progreso de Erin, mientras que su camino a largo plazo podría significar que los vientos de la banda exterior podrían afectar a Carolina y la costa mediana de los Estados Unidos.
La tormenta se convirtió en el primer huracán de la temporada a las 11 a.m. del viernes, con vientos de 75 mph, pero creció a un huracán de categoría 5 «catastrófico» en solo un día experimentando una intensificación rápida que había sufrido vientos de hasta 160 mph. Comenzó a perder la intensidad el sábado por la noche después de empujar justo al norte de las Islas Marídas del Norte.
«Esta ligera disminución en la intensidad probablemente se deba a un reemplazo de la pared ocular en el núcleo interno según lo informado por los cazadores de huracanes y probablemente sea una fluctuación temporal a corto plazo», dijo Pasch. «El sistema sigue siendo un gran huracán bien organizado y peligroso con un patrón de nubes impresionantemente simétrico».
17 de agosto 11am AST: Bandas de lluvia exteriores de #erin todavía producen fuertes lluvias y vientos racheados en las PR y las Islas Vírgenes. Los intereses en otras partes de las Bahamas centrales, los bancos exteriores de Carolina del Norte y las Bermudas deben monitorear el progreso de Erin. Visite https://t.co/tw4kegdbfb para el último pic.twitter.com/cman4rwceu
– Centro Nacional de Huracanes (@NHC_ATLANTIC) 17 de agosto de 2025
Se pronostica que seguirá siendo un poderoso huracán durante los próximos días, y su campo de viento está comenzando a crecer.
«Se pronostica un aumento de tamaño y resistencia durante las próximas 48 horas», dijo Pasch. «Es probable que Erin siga siendo un peligroso huracán importante a mediados de esta semana».
Los vientos de fuerza de huracanes se extienden 50 millas, mientras que los vientos de fuerza de tormenta tropical se extienden 205 millas.
Erin, la quinta tormenta de la temporada de huracanes 2025 es también el primer huracán, y el primer gran huracán de la temporada tropical en curso. Los grandes mares y el oleaje generados por Erin crearán condiciones oceánicas peligrosas en todo el Atlántico. pic.twitter.com/pbbghidyym
– NHC_TAFB (@NHC_TAFB) 17 de agosto de 2025
Las bandas externas continúan azotando las Islas Vírgenes, Puerto Rico y la República Dominicana el domingo, con 4-6 pulgadas de lluvia en muchos lugares, pero algunas áreas que podrían obtener hasta 8 pulgadas. Podrían conducir a flash y inundaciones urbanas, junto con deslizamientos de tierra o deslizamientos de tierra.
El sistema aprobado por las islas del Cabo Verde a principios de semana, causando inundaciones repentinas culpadas por al menos nueve muertes. Se ha movido rápidamente a través del Atlántico.
6am 16 de agosto | Erin se intensificó rápidamente en un gran huracán durante la noche. Si bien se pronostica que Erin permanecerá bien al este de Florida, habrá impactos costeros, ya que las olas grandes entrantes producen un alto riesgo de corrientes de resbate, olas con golpes y paseos peligrosos la próxima semana. pic.twitter.com/ti84atifmg
– NWS Melbourne (@NWSMelbourne) 16 de agosto de 2025
Las olas de la tormenta con peligrosas surfes y corrientes de resaca continúan golpeando las islas del Nordeste del Caribe y a principios de la próxima semana se pronostica que se extienden a las Bahamas, Florida y el resto de la costa este de los Estados Unidos a medida que la tormenta se intensifica y se mueve hacia el Atlántico.
«El cono de pronóstico lleva la tormenta al este de Florida, pero los impactos costeros se pronostican la próxima semana», dijo el Servicio Meteorológico Nacional en Melbourne. «Los impactos en la corriente y la navegación de Surf, Rip llegan a nuestra costa a partir del lunes y alcanzarán su punto máximo el martes al martes».
El NHC también realizaba un seguimiento de otros dos sistemas en el Atlántico con la oportunidad de convertirse en la próxima depresión o tormenta tropical de la temporada. El siguiente nombre en la lista después de Erin es Fernand.

A partir de las perspectivas tropicales de las 8 pm de la NHC, el sistema más preocupante para Florida era un área de baja presión que podría formarse a mitad de semana desde una ola tropical cerca de las islas del Cabo Verde que produce duchas y tormentas eléctricas desorganizadas y siguiendo el camino del huracán Erin en el Atlántico tropical central.
«Un desarrollo gradual de este sistema es posible durante la segunda mitad de esta semana, y una depresión tropical podría formarse a fines de esta semana o el próximo fin de semana, mientras que el sistema se mueve hacia el oeste hacia el oeste-noroeste a las 15 a 20 mph, acercándose al mar del Caribe del noreste o al Atlántico suroeste», dijo Prevesters.
El NHC le dio un 40% de posibilidades de desarrollarse en los próximos siete días, un ligero aumento del domingo por la mañana.
El NHC también continuó rastreando un área de baja presión a un par de cientos de millas de la costa de Carolina del Norte que tenía actividad de ducha desorganizada al este del centro. Pero para los pronosticadores del domingo por la noche dijeron que el sistema ya no es propicio para un mayor desarrollo.
“Los vientos de nivel superior son desfavorables y el desarrollo
ya no se espera «, dijeron los pronosticadores.» La baja debería continuar debilitándose durante las próximas 24 horas mientras se desplaza hacia el este-noreste «.
El NHC le dio un 0% de posibilidades de desarrollarse en los próximos dos días.
La Administración Nacional Oceánica y Atmosférica recientemente actualizó su pronóstico de temporada, ahora pidió 13-18 tormentas con nombramiento para el año, de las cuales cinco a nueve crecerían en huracanes. Dos a cinco de ellos se convertirían en los principales huracanes de fuerza de categoría 3 o superior.
La altura de la temporada de huracanes se extiende desde mediados de agosto hasta octubre, mientras que toda la temporada de seis meses se extiende del 1 de junio al 30 de noviembre.
Publicado originalmente:




