
Recolectan ayuda en Miami para afectados por el huracán Melissa en Jamaica
octubre 30, 2025
Vinod Sreeharsha
octubre 31, 2025Por ARIEL FERNÁNDEZ, ANDREA RODRIGUEZ y JOHN MYERS JR.
SANTIAGO DE CUBA, Cuba (AP) — El estruendo de maquinaria grande, el chirrido de motosierras y los cortes de machetes resonaron el jueves en comunidades de todo el norte del Caribe mientras salían de la destrucción del huracán Melissa y evaluaban los daños dejados.
En el sureste de Jamaica, trabajadores gubernamentales y residentes comenzaron a despejar carreteras en un esfuerzo por llegar a docenas de comunidades aisladas que sufrieron el impacto directo de uno de los huracanes atlánticos más poderosos jamás registrados.
Los residentes atónitos deambulaban, algunos contemplaban sus casas sin techo y sus pertenencias empapadas y esparcidas a su alrededor.
“Ahora no tengo casa”, dijo angustiado Sylvester Guthrie, residente de Lacovia en la parroquia sureña de St. Elizabeth, mientras sostenía su bicicleta, la única posesión de valor que quedó después de la tormenta.
Vuelos de ayuda de emergencia comenzaron a aterrizar en el principal aeropuerto internacional de Jamaica, que reabrió sus puertas el miércoles por la noche, mientras las tripulaciones distribuían agua, alimentos y otros suministros básicos. Los helicópteros sobrevolaron las comunidades donde la tormenta arrasó casas, arrasó carreteras y destruyó puentes, impidiéndoles recibir asistencia.
“Toda Jamaica está realmente destrozada por lo sucedido”, dijo la ministra de Educación, Dana Morris Dixon.
Las autoridades dijeron que encontraron al menos cuatro cadáveres en el suroeste de Jamaica. Desmond McKenzie, vicepresidente del Consejo de Gestión de Riesgos de Desastres de Jamaica, se negó a proporcionar una actualización sobre el número de muertes y se limitó a decir que espera que el número aumente según la información que ha recibido.
Más de 13.000 personas seguían hacinadas en refugios, con el 72% de la isla sin electricidad y sólo el 35% de los sitios de telefonía móvil en funcionamiento, dijeron las autoridades.
«Entendemos la frustración, entendemos su ansiedad, pero les pedimos paciencia», dijo Daryl Vaz, ministro de Telecomunicaciones y Energía de Jamaica.
Se han movilizado camiones cisterna para servir a muchas de las comunidades rurales de Jamaica que no están conectadas al sistema de servicios públicos del gobierno, dijo el ministro de Agua, Matthew Samuda.
Lenta recuperación en Cuba
En Cuba, equipos pesados comenzaron a despejar carreteras y caminos bloqueados y los militares ayudaron a rescatar a personas atrapadas en comunidades aisladas y en riesgo de deslizamientos de tierra.
No se reportaron muertes después de que la Defensa Civil evacuara a más de 735.000 personas en todo el este de Cuba antes de la tormenta. Poco a poco empezaban a regresar a casa.
El emblemático pueblo de El Cobre en la oriental provincia de Santiago de Cuba fue uno de los más afectados. Hogar de unas 7.000 personas, también es el sitio de la Basílica de Nuestra Señora de la Caridad, patrona de Cuba y profundamente venerada por los católicos y practicantes de la santería, una religión afrocubana.
«Esto lo pasamos muy mal. Tanto viento, tanto viento. Se arrancaron los techos de zinc. Algunas casas colapsaron completamente. Fue un desastre», dijo Odalys Ojeda, una jubilada de 61 años, mientras miraba al cielo desde su sala donde se arrancaron el techo y otras partes de la casa.
Ni siquiera la basílica se salvó.
“Aquí en el santuario, la carpintería, los vitrales e incluso la mampostería sufrieron grandes daños”, dijo el padre Rogelio Dean Puerta.
Una reunión televisada de Defensa Civil presidida por el presidente Miguel Díaz-Canel no proporcionó una estimación oficial de los daños. Sin embargo, funcionarios de las provincias afectadas (Santiago, Granma, Holguín, Guantánamo y Las Tunas) informaron pérdidas de techos, líneas eléctricas, cables de fibra óptica para telecomunicaciones, cortes de caminos, comunidades aisladas y pérdidas de plantaciones de banano, yuca y café.
Muchas comunidades seguían sin electricidad, Internet ni servicio telefónico debido a transformadores y líneas eléctricas caídos.
En una declaración inusual el jueves, el Departamento de Estado de Estados Unidos dijo que Estados Unidos estaba “listo para ayudar al pueblo cubano”. Un comunicado de prensa de la agencia afirmó que «está preparada para brindar asistencia humanitaria inmediata directamente y a través de socios locales que puedan brindarla de manera más efectiva a quienes la necesitan».
El comunicado no especifica cómo se coordinará la cooperación ni si se han establecido contactos con el Gobierno cubano, con el que mantiene un amargo conflicto que incluye seis décadas de sanciones económicas y financieras que presionan para un cambio de modelo político.
Muerte e inundaciones en Haití
Melissa también desató inundaciones catastróficas en Haití, donde se reportaron al menos 25 personas muertas y otras 18 desaparecidas, principalmente en la región sur del país.
«Es un momento triste para el país», dijo Laurent Saint-Cyr, presidente del consejo presidencial de transición de Haití.
Dijo que los funcionarios esperan que el número de muertos aumente y señaló que el gobierno está movilizando todos sus recursos para buscar personas y brindar ayuda de emergencia.
La Agencia de Protección Civil de Haití dijo que el huracán Melissa mató al menos a 20 personas, incluidos 10 niños, en Petit-Goâve, donde más de 160 viviendas resultaron dañadas y otras 80 destruidas.
Steven Guadard dijo que Melissa mató a toda su familia en Petit-Goâve, incluidos cuatro niños de edades comprendidas entre 1 mes y 8 años.
Michelet Dégange, que vive en Petit-Goâve desde hace tres años, afirma que Melissa lo dejó sin hogar.
«No hay lugar para descansar el cuerpo; tenemos hambre», dijo. «Las autoridades no piensan en nosotros. No he cerrado los ojos desde que empezó el mal tiempo».
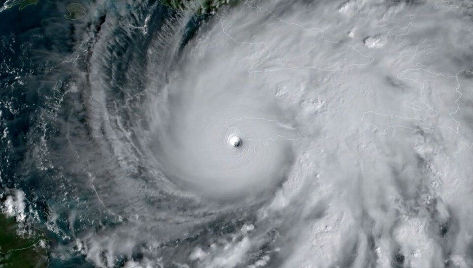
Cuando Melissa tocó tierra en Jamaica como huracán de categoría 5 con vientos máximos de 295 kph (185 mph) el martes, empató los récords de fuerza de los huracanes del Atlántico que tocaron tierra, tanto en velocidad del viento como en presión barométrica.
Melissa era una tormenta de categoría 2 con vientos máximos sostenidos de cerca de 165 kph (105 mph) el jueves por la mañana y se movía hacia el noreste a 48 kph (30 mph), según el Centro Nacional de Huracanes de Estados Unidos en Miami. El huracán tenía su vórtice a unas 430 millas (690 kilómetros) al oeste-suroeste de las Bermudas.
Se pronostica que Melissa pasará cerca o al oeste de las Bermudas el jueves por la noche y podría fortalecerse aún más antes de debilitarse el viernes.
___
Rodríguez informó desde La Habana y Myers Jr. informó desde Kingston, Jamaica. Los reporteros de Associated Press Dánica Coto en San Juan, Puerto Rico, y David Constantin y Odelyn Joseph en Petit-Goâve, Haití, contribuyeron a este informe.




